Produktionshalle mit Bürotrakt und Neubaupotential Zum Kauf

2.650.000,00€

Beschreibung

Beschreibung des Objekts

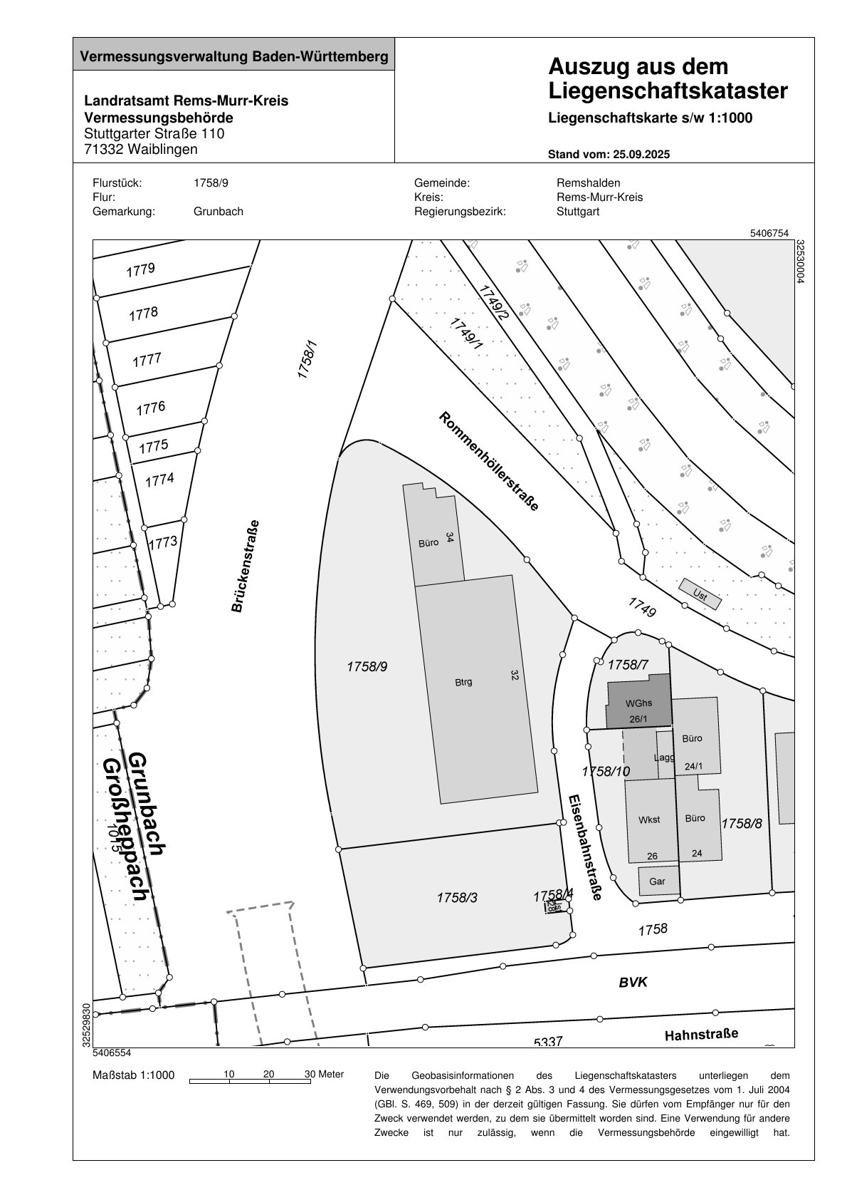
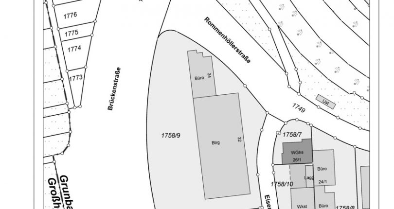
Lager- und Produktionshalle mit Bürotrakt, freistehend, Baujahr 1988, Grundstücksgröße 4.991 m². Nach den Angaben im Baugesuch von 1986 im Gewerbegebiet gelegen, dort Randlage, direkte Anbindung an die B 29.

Angaben aus dem Bebauungsplan Gewerbegebiet (beschränkt), Zahl der Vollgeschosse III, Grundflächenzahl GRZ 0,8, Geschossflächenzahl GRZ 2,0, max. Gebäudehöhe 10 m. Lt. dem Bebauungsplan kann die vorhandene Bebauung mindestens verdoppelt werden.

Bedingt durch ein leichtes Gefälle befindet sich die Toreinfahrt in die Halle auf der Rückseite des Gebäudes. Dort ist die Einfahrtsebene der Halle gleich dem Bodenniveau des Untergeschosses des Bürotraktes. Der Eingangsbereich zum Bürotrakt liegt mit leichtem Höhenversatz auf Straßenniveau.

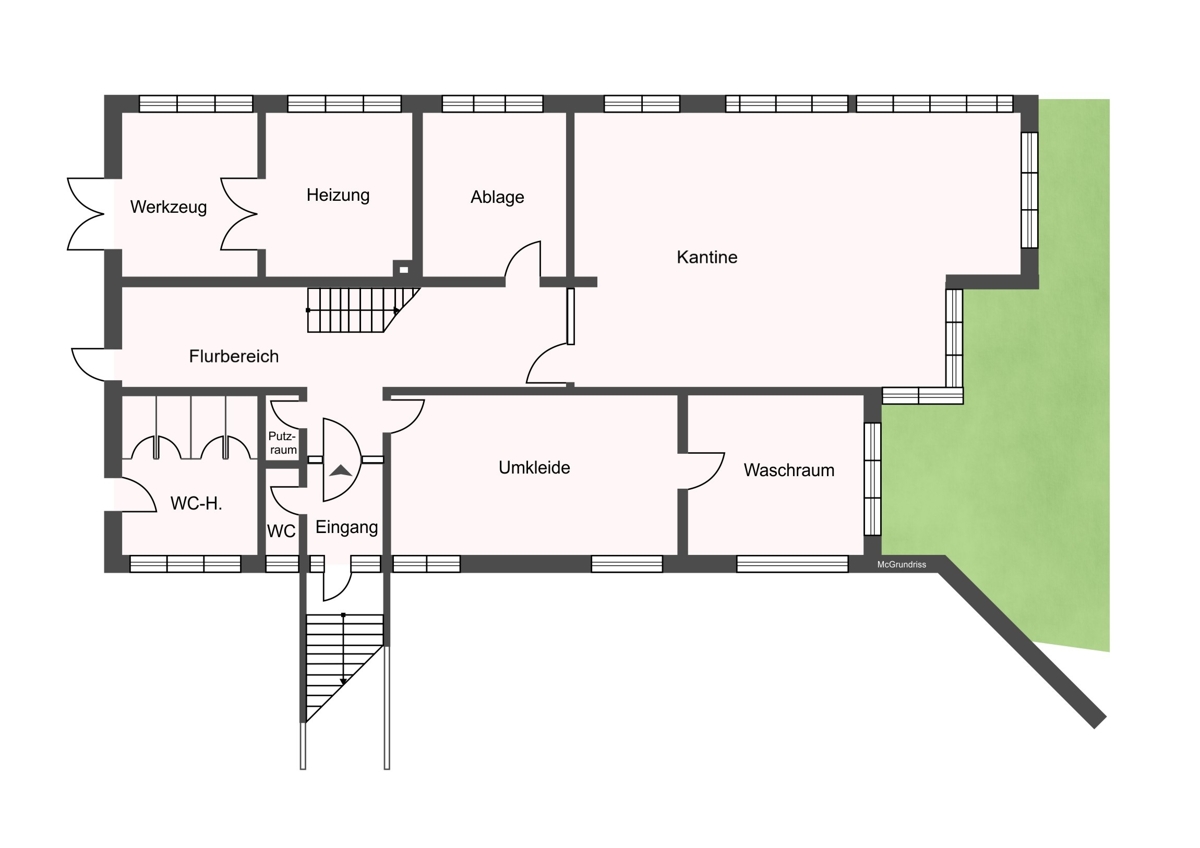
Flächenangaben:

Produktions- und Lagerhalle (hoher Bereich)1.037 m²
Produktions- und Lagerhalle (niederer Bereich) 291 m²
Zwischengeschoss Halle 293 m²
Büro- und Sozialräume 485 m²

Hallenteil:
Konstruktion in Stahlskelettbauweise mit Metall- und Glaselementen ausgefacht. Trapezblechbedachung mit Oberlichtern und Flachdachisolierung (Das Flachdach wurde 2023 mit einer Bitumenabdichtung saniert.). Hallenhöhe ca. 7 m, Kranbahn mit 5 t Traglast in 5 m Höhe, Rolltor, ebene Zufahrt

Inneneinbauten: ein Meisterbüro, ein abschließbares Teilelager über einem Teil der Halle wurde ein Zwischengeschoss eingezogen. Dunkelstrahlerheizung mit Gas betrieben.

Die bauliche und technische Ausstattung der Halle entspricht im Wesentlichen dem Stand des Baujahres, erforderliche Renovierungen und Modernisierungen wurden vorgenommen. Die Halle ist einem gepflegten Zustand. Die bauliche und technische Ausstattung erfüllt die Anforderungen eines laufenden metallbearbeitenden Produktionsbetriebes.

Bürotrakt:
Massive Bauweise, der Bürotrakt erstreckt sich über zwei Etagen, wobei in der unteren Etage bedingt durch die leichte Hanglage die Räume auf der West- und Nordseite Tageslicht haben. Fenster in Aluminium-Kunststoff aus dem Baujahr, Außenjalousien. Massives Bitumenflachdach mit Oberlichtern. Gas-/Zentralheizung.

Die technische Ausstattung und die Raumausstattung kommen teilweise aus dem Baujahr, teilweise wurde diese Ausstattung erneuert. Teilweise Granitböden, ansonsten Teppichböden und Fliesen, Türrahmen mit Lichtelementen bis zur Decke, Wände teilweise mit Rauputz versehen, sonst Tapeten, teilweise abgehängte Decken mit integrierter Beleuchtung, Strom- und EDV-Verkabelung in Brüstungskanälen, Glasfaseranschluss im Haus. Toiletten, Teeküche, Kantinenraum in gutem Standard vorhanden.

Die bauliche und technische Ausstattung der Büro- und Sozialräume entspricht im Wesentlichen dem Stand des Baujahres, erforderliche Renovierungen und Modernisierungen wurden vorgenommen. Die Büro- und Sozialräume befinden sich in einem gut ausgestatteten und gepflegten Zustand. Im Bürobereich sind flexible Raumaufteilungen durch die Verschiebung von hochwertigen Wand- und Einbauelementen möglich (Strähle-System).

Bautenstand lt. Plänen von 1988, heute in minimalen Details verändert, daher bestehen geringfügige Abweichungen zwischen den Plänen im Baugesuch und dem tatsächlichen Bestand, die aber nicht relevant sind.

Angaben zum Energieausweis: gültig bis 30.09.2035
VA, 138 kWh/(m²*a), Flüssiggas, Zentralheizung, Bj. 1988, 34 kg CO2-Äquivalent/(m²*a), Baujahr Wärmeerzeuger 2004

Der jetzige Mieter wird Ende März 2026 die Flächen räumen.
Teile der vorhandenen Einrichtung werden nicht mitgenommen und können dem neuen Eigentümer zur Übernahme angeboten werden; ansonsten werden diese entsorgt.

Beschreibung der Ausstattung

Lage

Gemeinde Remshalden, Ortsteil Grunbach, im Rems-Murr-Kreis an der vierspurigen B 29 Schwäbisch Gmünd-Waiblingen-B 14 Richtung Stuttgart gelegen. Der öffentliche Personennahverkehr wird durch lokale Buslinien und die S-Bahn-Linie S 3 Schorndorf-Stuttgart-Flughafen-Messe (ca. 30 Minuten bis Hauptbahnhof) abgedeckt. Über die vierspurige B 29 in Remshalden gut an das Bundesstraßen- und Autobahnnetz angebunden.

Sonstige Angaben

Es liegt ein Energieverbrauchsausweis vor.
Dieser ist gültig bis 30.9.2035.
Endenergieverbrauch für die Wärme beträgt kwh/(m²*a).
Endenergieverbrauch für den Strom beträgt kwh/(m²*a).
Wesentlicher Energieträger der Heizung ist Gas.

Geschäfts und Provisionsbedingungen:

Sämtliche Angaben in diesem Exposé basieren auf Informationen, die uns vom Eigentümer / Verkäufer genannt wurden. Wir bemühen uns, möglichst vollständige und richtige Angaben zu erhalten und weiterzuleiten. Eine Haftung für Richtigkeit und Vollständigkeit können wir jedoch nicht übernehmen. Dieses Angebot ist vom Empfänger vertraulich zu behandeln, jede Weitergabe an Dritte ohne unsere Zustimmung ist unzulässig. Ist dem Empfänger das nachgewiesene Objekt bereits bekannt, so bitten wir Sie, uns dies unverzüglich binnen Wochenfrist mitzuteilen. Das Angebot ist freibleibend. Änderungen und Zwischenveräußerungen bleiben vorbehalten. Mit Abschluss des Kaufvertrages wird die vom Käufer zu bezahlende Maklerprovision in Höhe von 3,57 % (inkl. MwSt.) zur Zahlung fällig.

Wir setzen die Richtlinien und Vorgaben der EU-DSGVO in allen Bereichen unseres Unternehmens um. Aktualisierungen und Änderungen sowie die Kontaktdaten unseres externen Datenschutzbeauftragten können Sie auf unserer Homepage (www.mergenthaler-immobilien.de/datenschutz/) einsehen.

  • Adresse: 73630, Remshalden-Grunbach
  • Stadt: Remshalden-Grunbach
  • Postleitzahl: 73630

Detail

Letzte Änderung November 20, 2025 um 11:04 a.m.

  • Objekt ID: G-9245
  • Preis: 2.650.000,00€
  • Gesamtfläche: ca. 2100.00 m²
  • Baujahr: 1988

Features

Kontakt Information

IHR ANSPRECHPARTNER

  • Gewerbeimmobilien Mergenthaler GmbH
  • (07151) 981 48 31

Anfrage zu diesem Objekt

    *Pflichtfeld